Inicio INTERNACIONALES Huracán Melissa alcanza categoría 5 y pone en alerta a Jamaica, Haití...

Huracán Melissa alcanza categoría 5 y pone en alerta a Jamaica, Haití y Dominicana

90

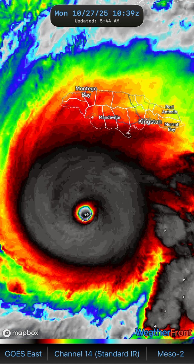
El huracán Melissa alcanzó este lunes la categoría 5, la máxima en la escala Saffir-Simpson, con vientos cercanos a los 260 kilómetros por hora. El Centro Nacional de Huracanes de Estados Unidos (NHC) advirtió que la tormenta provocará “marejadas ciclónicas, vientos destructivos e inundaciones catastróficas” en Jamaica, Haití y República Dominicana.

A las 09H00 GMT, el ojo del huracán se ubicaba a unos 210 km al suroeste de Kingston, la capital jamaicana, y a 500 km de la bahía de Guantánamo, Cuba. La lentitud con la que se desplaza preocupa a los meteorólogos, ya que prolonga las condiciones adversas en las zonas afectadas.

Melissa ya ha causado cuatro muertes: tres en Haití y una en República Dominicana, donde además se reporta la desaparición de un adolescente. Las autoridades locales han activado refugios y ordenado evacuaciones en zonas costeras. El aeropuerto internacional de Kingston y los puertos marítimos fueron cerrados desde el sábado por la noche.

El ministro de Gobierno Local de Jamaica, Desmond McKenzie, instó a la población a no subestimar la amenaza: “Esta es una apuesta que no se puede ganar. No se puede apostar contra Melissa”.

El Servicio Meteorológico de Jamaica pronostica una marejada ciclónica de hasta cuatro metros en la costa sur del país, mientras que el NHC alertó sobre posibles aludes y cortes prolongados de electricidad y comunicaciones.

El huracán, decimotercera tormenta con nombre de la temporada atlántica, continuará su trayectoria hacia el norte y podría impactar el este de Cuba el martes por la noche.

La participación ciudadana y la respuesta institucional serán clave para mitigar los efectos de un fenómeno que ya deja huellas de destrucción en el Caribe.